English Français

L’œil de l’ouragan Melissa atteint les côtes de la Jamaïque

Source: Radio Canada
Photo : via reuters / CSU/CIRA & NOAA
Photo : via reuters / CSU/CIRA & NOAA

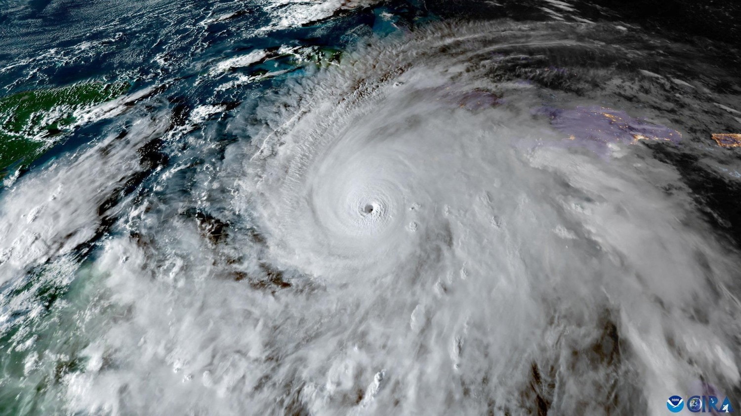
L’œil de l'ouragan Melissa, de force 5, qui s’abat sur les côtes de la Jamaïque, a touché terre vers 13 h près de New Hope, traînant avec lui des vents de 295 km/h, 1 mètre de pluie et une onde de tempête qui pourrait atteindre 4 mètres.

Il s’agit du plus puissant ouragan à frapper cette île depuis le début des relevés météorologiques, il y a 174 ans, selon l'Organisation météorologique mondiale (OMM).

Melissa est désormais plus puissant que l'ouragan Katrina, qui avait ravagé il y a 20 ans La Nouvelle-Orléans et fait plus de 1000 morts aux États-Unis.

 

Les contours de la dépression ont touché terre vers 5 h du matin sur la côte sud de la Jamaïque. L'œil de la tempête, alimentée par les eaux chaudes de la mer des Caraïbes, a quant à lui atteint la côte vers 13 h.

 

Située plus à l’est, la capitale, Kingston, où vivent plus de 600 000 habitants, sera épargnée par le centre de l’ouragan, mais elle subit néanmoins d’importantes intempéries.

On n’a plus d’électricité depuis hier. […] Les barricades se cognent sur les maisons avec la pression du vent. Ça fait des "bang! bang!" un peu partout. C’est effrayant, a raconté sur les ondes d'ICI RDI Marie Imbeault, une résidente québécoise de Montego Bay.

 

 

Un homme tente de garder un imperméable sur son dos dans un très fort vent.
Des vents destructeurs pouvant atteindre 295 km/h sont attendus en Jamaïque au cours des prochaines heures. Photo : AP / Matias Delacroix

 

Tous les bananiers sont à terre, les plantains sont à terre, toute ma clôture aussi. […] Les six prochaines heures seront cruciales.

Une citation deMarie Imbeault, résidente de Montego Bay

 

L’ouragan Melissa a déjà fait trois morts en Jamaïque au cours des dernières heures, trois en Haïti et un en République dominicaine.

Après avoir balayé la Jamaïque du sud au nord mardi, Melissa touchera Cuba mercredi. Viendront ensuite le sud des Bahamas et l'archipel britannique des îles Turks et Caicos.

 

 

La « tempête du siècle »

Depuis plusieurs jours, les alertes météo et les ordres d’évacuation se succèdent en Jamaïque, où l'on redoute d’importantes inondations, des glissements de terrain et la destruction de nombreux bâtiments au cours des prochaines heures.

Il va y avoir des inondations soudaines catastrophiques et de nombreux glissements de terrain, a prévenu mardi Anne-Claire Fontan, spécialiste des cyclones tropicaux à l'Organisation météorologique mondiale (OMM), à Genève, en Suisse.

 

C'est jusqu'à présent la tempête du siècle pour la Jamaïque.

Une citation deAnne-Claire Fontan, spécialiste des cyclones tropicaux à l'Organisation météorologique mondiale

 

C’est que Melissa, en plus d’être très puissante, se déplace aussi très lentement, ce qui expose les zones habitées plus longtemps aux intempéries.

 

 

 

Environ 1,5 million de personnes à risque

Au moins 1,5 million de personnes pourraient être touchées, y compris les familles qui se remettent encore de l'ouragan Beryl [en 2024], a estimé Necephor Mghendi, chef de délégation pour les Caraïbes anglophones et néerlandophones à la Fédération internationale de la Croix-Rouge (FICR), lors d'une conférence de presse.

Mais ce chiffre est largement sous-estimé, car les conséquences sur la population comprendront des perturbations des services essentiels, des perturbations sur les marchés et, bien sûr, des blocages de routes. Cela signifie que l'ensemble de la population pourrait en subir les conséquences d'une manière ou d'une autre, a-t-il ajouté, s'exprimant depuis Trinité-et-Tobago.

 

Des enfants jouent dans une rue inondée par les pluies.
Des enfants jouent dans une rue inondée par les pluies causées par la tempête tropicale Melissa à Saint-Domingue, en République dominicaine, le vendredi 24 octobre 2025. Photo : Associated Press / Ricardo Hernandez

 

 

La menace humanitaire est grave et immédiate.

Une citation deNecephor Mghendi, chef de délégation pour les Caraïbes anglophones et néerlandophones

 

Quelques heures avant que la tempête ne se déchaîne, le gouvernement jamaïcain a assuré avoir fait tout son possible pour se préparer, tout en mettant en garde la population contre des dégâts catastrophiques.

Le premier ministre Andrew Holness a d’emblée prévenu qu'aucune infrastructure dans la région ne pourra résister à un ouragan de catégorie 5.

 

Une énorme vague.
Une onde de tempête pouvant atteindre 4 mètres est attendue sur les côtes du sud de la Jamaïque. Photo : Getty Images / AFP / RICARDO MAKYN

 

Des glissements de terrain, des arbres tombés et de nombreuses pannes de courant ont déjà été signalés avant même l’arrivée officielle de la tempête, les autorités jamaïcaines avertissant la population que le nettoyage et l'évaluation des dégâts seraient longs.

Les prévisions qui font état d’une possible onde de tempête de plus de 4 mètres préoccupent aussi grandement les autorités, qui craignent de violentes inondations et beaucoup de destruction dans les zones côtières.

Le dernier ouragan majeur à avoir touché terre en Jamaïque était l'ouragan Gilbert, en septembre 1988, tuant 40 personnes et faisant d'énormes dégâts.

Depuis, l'île avait été frappée par plusieurs ouragans, le dernier en date étant Beryl, en juillet 2024, qui n'y avait toutefois pas touché terre. Beryl avait néanmoins fait 40 morts et causé d’importants dégâts.

Avec les informations de Agence France-Presse, CNN et Associated Press

Publicité

Publicité
Vous n'avez pas utilisé le site Web, Cliquer ici pour maintenir votre état de connexion. Temps d'attente: 60 Secondes