This article is more than
1 year old
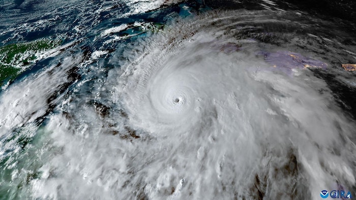
Avec des vents qui ont atteint les 300 km/h mardi en touchant terre en Jamaïque mardi, Melissa est devenue la tempête tropicale la plus puissante en 2025 dans le monde.
Agence France-Presse
L'ouragan Melissa, rétrogradé en catégorie 3, a touché mercredi l'île de Cuba, où des centaines de milliers d'habitants ont été déplacés, après avoir privé d'électricité un demi-million de personnes en Jamaïque, « zone sinistrée ».
La tempête évolue entre les catégories 3 et 5, la plus élevée sur l'échelle de Saffir-Simpson, avec des vents dépassant encore mercredi les 200 km/h, selon le Centre national américain des ouragans (NHC).
L'ouragan Melissa, extrêmement dangereux, touche la côte sud-est de Cuba, a précisé le site du NHC mercredi. Il devrait rester un ouragan puissant lorsqu'il traversera Cuba, les Bahamas et les environs des Bermudes, avait-il déclaré mardi soir.
Les vents ont atteint les 300 km/h en touchant la Jamaïque mardi, faisant de Melissa la tempête tropicale la plus puissante de 2025 dans le monde, selon une analyse par l'AFP des données de l'Agence américaine d'observation océanique et atmosphérique (NOAA).
Il faut remonter au typhon Mawar (2023) pour retrouver une tempête aussi intense au chapitre de la vitesse des vents (298 km/h) et de la pression (892 millibars). L'ouragan est aussi le plus puissant à s'être abattu sur la Jamaïque depuis le début des relevés météorologiques.
Les autorités cubaines ont rapporté qu'environ 735 000 personnes avaient été évacuées, en particulier dans les provinces de Santiago de Cuba, Holguín et Guantánamo. À El Cobre, une ville de Santiago de Cuba, la protection civile tentait de secourir 17 personnes bloquées après la crue d'une rivière et un glissement de terrain, selon le journal d'État Granma.
Les autorités locales ont déclaré l'état d'alerte dans six provinces de l'est, où les habitants stockaient vivres, bougies et piles depuis lundi.
Nous avons acheté du pain, des spaghettis, de la viande hachée. Ce cyclone est sérieux, mais nous allons nous en sortir, dit Graciela Lamaison, rencontrée par l'AFP à Santiago de Cuba.

En Haïti, à l'est de Cuba, les autorités ont ordonné la fermeture des écoles, des commerces et des administrations. Avant même de toucher terre en Jamaïque, l'ouragan y avait fait trois morts, ainsi que trois autres en Haïti et un en République dominicaine.
Zone sinistrée
Mardi, Melissa avait frappé de plein fouet l'ouest de la Jamaïque. Des images montraient arbres abattus et routes défoncées.
Selon Desmond McKenzie, ministre des collectivités locales, plus de 530 000 Jamaïcains [...] sont privés d'électricité. Des travaux sont en cours pour rétablir notre service et donner la priorité aux [...] hôpitaux, stations de pompage et stations de traitement des eaux.
Saint Elizabeth, paroisse située dans le sud-ouest de l'île peuplée par 150 000 personnes et grenier à blé de la Jamaïque, a été submergée.
Les dégâts y sont considérables [...], toute la Jamaïque a subi les effets dévastateurs de Melissa, a-t-il ajouté. Plusieurs hôpitaux ont été endommagés.
Une partie de notre toit a été emportée par le vent, une autre partie s'est effondrée, toute la maison est inondée. Les constructions extérieures comme les enclos pour les animaux ou la cuisine ont également été détruits, témoigne auprès de l'AFP Lisa Sangster, une habitante de la zone.
À Saint Catherine, au centre du pays, la rivière Rio Cobre est sortie de son lit et les vents puissants ont arraché toits et clôtures, a constaté l'AFP.

Kingston, la capitale, a été relativement épargnée, selon Mathue Tapper, un habitant de 31 ans. J'ai l'impression que le pire est passé, a-t-il confié, encore très inquiet pour les zones rurales.
Des bourrasques extrêmement violentes ainsi que des inondations côtières sévères et des pluies diluviennes pouvant provoquer des glissements de terrain catastrophiques étaient attendues. Les autorités ont même appelé la population à se méfier des crocodiles, qui pourraient constituer une menace en raison des inondations.
Dans ce type de catastrophe, l'eau tue beaucoup plus de personnes que le vent, avait rappelé en amont le météorologue Kerry Emanuel, insistant sur le rôle joué par les changements climatiques.
En réchauffant les mers, ce dernier entraîne un plus grand nombre de tempêtes.
Le dernier ouragan majeur à avoir frappé la Jamaïque est Gilbert, en septembre 1988. Moins puissant que Melissa, il avait fait 40 morts et causé d'énormes dégâts.